Обяви 0 За нас Контакти
Продава ПАРЦЕЛ
град София, Дружба 1
309 000 €
604 351.47 лв.

(890 €, 1 740.69 лв./m2)
Не се начислява ДДС
История на цената
Публикувана в 12:35 на 9 август, 2025 год.
Обявата е посетена 2196 пъти.
Площ:
347 m2
Регулация:
ДА
Ток:
ДА
Вода:
ДА

Описание на имота:


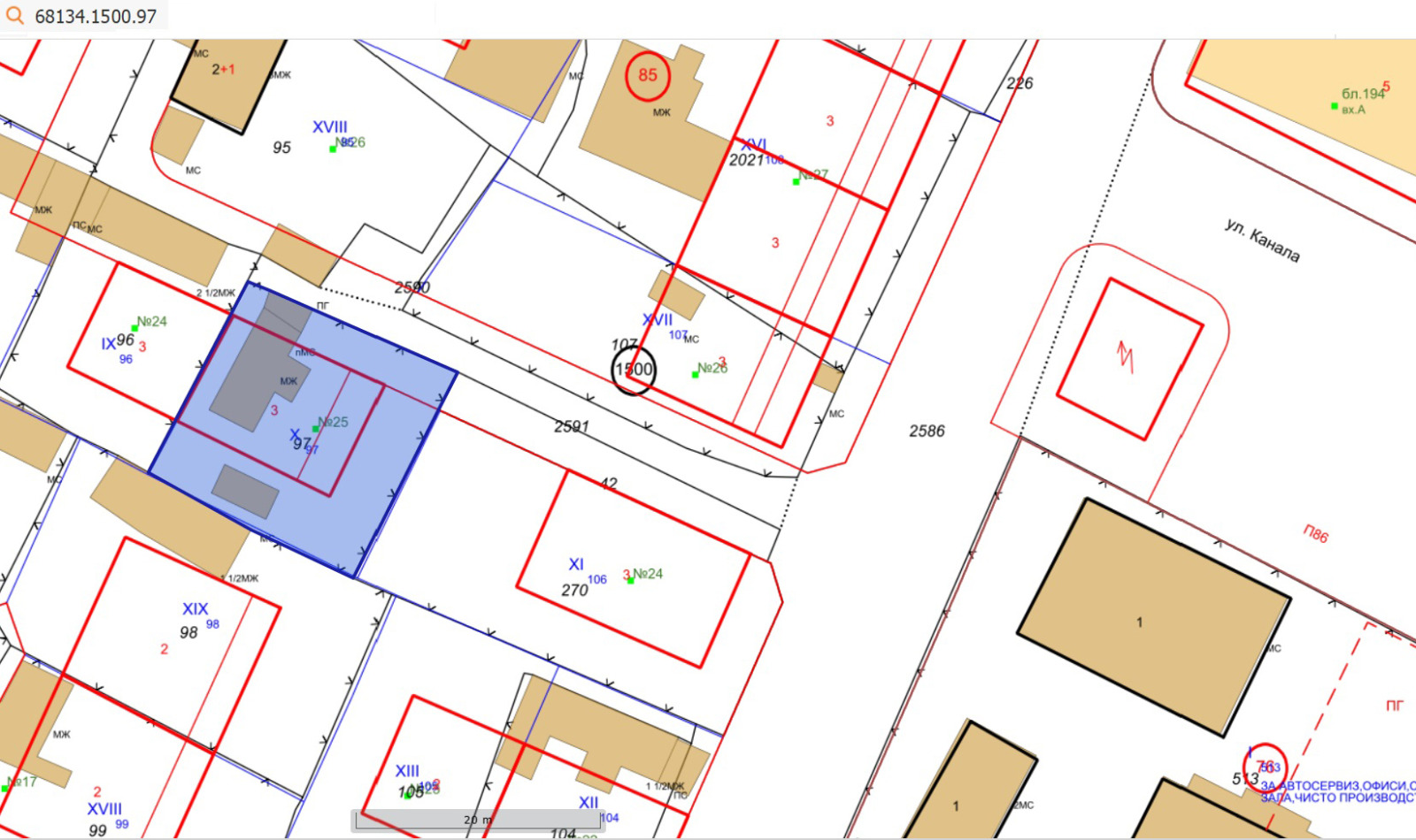
- Урегулиран поземлен имот за продажба , намиращ се непосредствено до ' Дружбенското езеро ' и парк ' Дружба ' , с лице ~ около 18 метра на улица ' Канала ' , на ~ 800 м. от метростанция ' Искърско шосе ' , в близост до различни учебни заведения , търговски обекти , както множество други удобства и комуникации. Имотът е с площ от 347 кв.м. и е в устройствена зона ' ЖС ' / Жилищна зона с преобладаващо средноетажно застрояване / , предполагаща построяване на жилищна сграда със следните параметри : Плътност 50/25 до 40 % , КИНТ 2.5/1.0 до 1.5 , кота корниз 15 м.
Особености
Обезщетение
За жил.строителство
За контакт:
0877 613 094
Брокер:
Експерт Естейт Груп
0877 613 094
Офис: Ул. Алеко Константинов 32
Още оферти от брокера: Продава | Дава под наем | Купува | Наема
Агенция:
ЕКСПЕРТ ЕСТЕЙТ ГРУП
0877 613 094
ЕКСПЕРТ ЕСТЕЙТ ГРУП logo
Медал за прослужено време
В imot.bg от 2021 г.
expertbrokers.imot.bg
Адрес:
област София, гр. София, Оборище, ул. Алеко Константинов 32
http://www.expertbrokers.eu
ИЗПРАТИ ЗАПИТВАНЕ
ИЗПРАТИ ЗАПИТВАНЕТО

Продава ПАРЦЕЛ
град София, Дружба 1
Обява: 1r175473213394367

309 000 €
604 351.47 лв.
История на цената
(890 €, 1 740.69 лв./m2)

Не се начислява ДДС
ЗАПАЗИ ОБЯВАТА

Местоположение: град София, Дружба 1

Допълнителни данни за имотите в района и сравнение с други райони

Покажи

Период

и 5 месеца

* Средните цени са определени чрез медианна стойност